2310 17 Street SW, CALGARY

2026-03-19
 

Quick Summary

Location
2310 17 Street SW, CALGARY, Alberta T2T4M6
Price
$449,900 CAD
Status:
For Sale
Property Type:
Vacant Land

MLS®#A2294269

Property Description

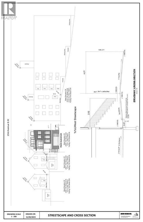
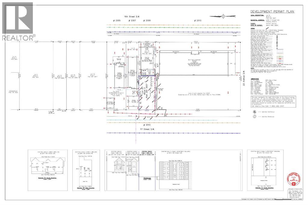
BARE LOT - BUILDERS & BUYERS - Nestled in a Bankview sweet-spot, Rare find opportunity to build your Dream home in Bankview, this lot offers several big advantages. The M-CG d72 land use designation opens the door to a larger build than everyday R-C2. Having 32' lot width, 'steps outside the box', an escape from narrow 25' RC-2 lots. And having no alley invites the rarity of an attached front drive garage. Convenient lock and leave style of lot. With the lot being cleared, there's significant demolition cost savings. Abundant inner city atmosphere, picturesque streetscape....the heritage feel blended with upscale development. Steps to fabulous Buckmaster Park and tennis.. Stroll to the bistro/boutique/services scene in Marda Loop or 17th Ave District.. One may wish to take advantage of the conditionally approved development permit Or use this as perspective for your own creation or simply step out on your own. Check it out - a delightful opportunity! (id:32467)

Property Features

Building

  • Fireplace: No

Land

  • Land Size: 2112 sqft|0-4,050 sqft

Ownership

  • Type: Freehold

Zoning

  • Description: M-CG d72

Information entered by URBAN-REALTY.ca
Listing information last updated on: 2026-04-01 02:18:49


Book your free home evaluation with a 1% REALTOR® now!


How much could you save in commission selling with One Percent Realty?

Slide to select your home's price:

$500,000

Your One Percent Realty Commission savings

$500,000

Savings calculated using One Percent Realty's posted commission rates compared to another agent charging 7% on the first 100k & 3% on the balance + GST. Not all agents charge the same.

Send a Message


One Percent Realty's top FAQs

Q
What is the deal exactly, with One Percent Realty?

We are a fully licensed real estate company that offers full service but at a discount commission. In terms of services and exposure, we are identical to whoever you would like to compare us with. We are on MLS®, all the top internet real estates sites, we place a sign on your property ( if it's allowed ), we show the property, hold open houses, advertise it, handle all the negotiations, plus the conveyancing. There is nothing that you are not getting, except for a high commission!

Q
What do you charge?

We charge a total of $7,950 for residential properties under $400,000. For residential properties $400,000-$900,000 we charge $9,950. For residential properties over $900,000 we charge 1% of the sale price plus $950. Plus Applicable taxes, of course. We also offer the flexibility to offer more commission to the buyer's agent, if you want to. It is as simple as that! For commercial properties, farms, or development properties please contact a One Percent agent directly or fill out the market evaluation form on the bottom right of our website pages and a One Percent agent will get back to you to discuss the particulars.

Q
Are your listings on MLS® and realtor.ca?

Yes, and yes.


Learn more about the One Percent Realty Deal

 

April Isaac Associate

Phone:
403-888-4003
Email:
aprilonepercent@gmail.com
Support Area:
CALGARY, SOUTH EAST CALGARY, SOUTH WEST CALGARY, NORTH CALGARY, NORTH EAST CALGARY, NORTH WEST CALGARY, EAST CALGARY, WEST CALGARY, AIRDRIE, COCHRANE, OKOTOKS, CHESTERMERE, STRATHMORE, GREATER CALGARY AREA, ROCKYVIEW, DIDSBURY, LANGDON

23 YRS EXPER, 1300+ SALES, NEGOTIATION EXPERT AND  BUYERS REPRESENTATIVE EXPERT, marketing savv ...

Full Profile

 

Anna Madden Associate

Phone:
587-830-2405
Email:
anna.madden05@gmail.com
Support Area:
Calgary, Airdrie, Cochrane, chestermere, Langdon, Okotoks, High river, Olds, Rocky View, Foothills

Experienced Residential Realtor serving Calgary and surrounding communities. I have knowledge in buy ...

Full Profile

 

Dabs Fashola Associate

Phone:
403-619-0621
Email:
homesbydabs@gmail.com
Support Area:
Calgary Southwest, Calgary Southeast, Calgary Northwest, Calgary Northeast, Okotoks, Chestermere:, Airdrie, Olds, Cochrane

REAL ESTATE NEGOTIATION EXPERT (RENE)Your Trusted and Experienced Realtor | Turning Real E ...

Full Profile