723 1 Street SE, Medicine Hat

2026-04-17
 

Quick Summary

Location
723 1 Street SE, Medicine Hat, Alberta T1A0B3
Price
$1,800 CAD
Status:
For Rent
Property Type:
Vacant Land

MLS®#A2302970

Property Description

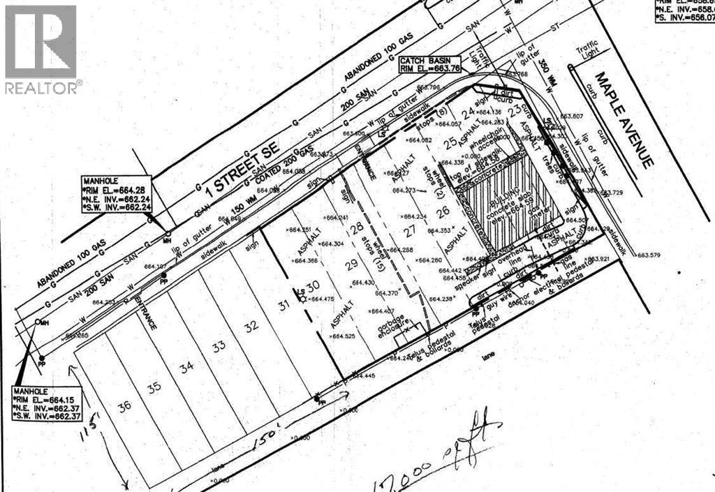
Prime vacant lot for lease just off Maple Ave, adjacent to Tim Hortons and the Canadian Legion. Located in a high-traffic area, perfect for retail or commercial development. Excellent visibility and accessibility in a bustling neighborhood. Don’t miss this opportunity for a strategic high visible location! The lot measures 150 ft x 115 ft, offering 17,000 sqft. (Please note the building on the corner of the lot has been removed.)The landlord is open to build-to-suit opportunities for the right tenant, and is also willing to consider additional lot improvements — including fencing — to meet the needs of your business. (id:32467)

Property Features

Building

  • Fireplace: No

Land

  • Land Size: 0.39 ac|10,890 - 21,799 sqft (1/4 - 1/2 ac)

Information entered by RE/MAX MEDALTA REAL ESTATE
Listing information last updated on: 2026-04-17 19:33:18


Book your free home evaluation with a 1% REALTOR® now!


How much could you save in commission selling with One Percent Realty?

Slide to select your home's price:

$500,000

Your One Percent Realty Commission savings

$500,000

Savings calculated using One Percent Realty's posted commission rates compared to another agent charging 7% on the first 100k & 3% on the balance + GST. Not all agents charge the same.

One Percent Realty's top FAQs

Q
What is the deal exactly, with One Percent Realty?

We are a fully licensed real estate company that offers full service but at a discount commission. In terms of services and exposure, we are identical to whoever you would like to compare us with. We are on MLS®, all the top internet real estates sites, we place a sign on your property ( if it's allowed ), we show the property, hold open houses, advertise it, handle all the negotiations, plus the conveyancing. There is nothing that you are not getting, except for a high commission!

Q
What do you charge?

We charge a total of $7,950 for residential properties under $400,000. For residential properties $400,000-$900,000 we charge $9,950. For residential properties over $900,000 we charge 1% of the sale price plus $950. Plus Applicable taxes, of course. We also offer the flexibility to offer more commission to the buyer's agent, if you want to. It is as simple as that! For commercial properties, farms, or development properties please contact a One Percent agent directly or fill out the market evaluation form on the bottom right of our website pages and a One Percent agent will get back to you to discuss the particulars.

Q
Are your listings on MLS® and realtor.ca?

Yes, and yes.


Learn more about the One Percent Realty Deal