204, 4979 Southlands Drive SE, Medicine Hat

2026-04-03
 

Quick Summary

Location
204, 4979 Southlands Drive SE, Medicine Hat, Alberta T1B0E9
Price
$418,605 CAD
Status:
For Sale
Property Type:
Other
Area:
1419 sqft
Year of Construction:
2023

MLS®#A2298899

Property Description

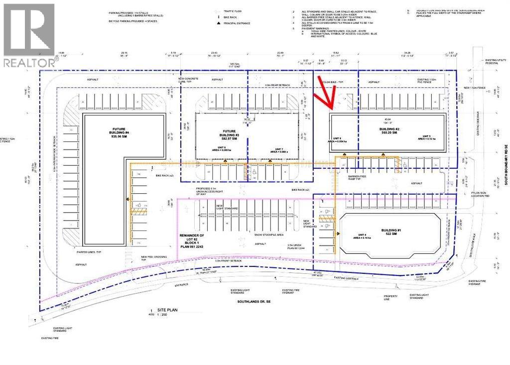
Last brand new commercial bay in Southlands Common - a 2.59 acre site of professional commercial development with high traffic counts situated in the South of the City of Medicine Hat at the corner of Southlands Drive and South Boundary Rd. This end cap unit is comprised of a total of 1419 square feet and offers parking both in front and rear of the building. This is a great opportunity for those looking to own their own professional space in a busy area of the city. (id:32467)

Property Features

Building

  • Fireplace: No
  • Interior Size: 1419 sqft
  • Building Type: Commercial Mix

Land

  • Land Size: Unknown

Ownership

  • Type: Bare Land Condo/Strata

Zoning

  • Description: C-N

Information entered by RIVER STREET REAL ESTATE
Listing information last updated on: 2026-04-03 17:11:16


Book your free home evaluation with a 1% REALTOR® now!


How much could you save in commission selling with One Percent Realty?

Slide to select your home's price:

$500,000

Your One Percent Realty Commission savings

$500,000

Savings calculated using One Percent Realty's posted commission rates compared to another agent charging 7% on the first 100k & 3% on the balance + GST. Not all agents charge the same.

One Percent Realty's top FAQs

Q
What is the deal exactly, with One Percent Realty?

We are a fully licensed real estate company that offers full service but at a discount commission. In terms of services and exposure, we are identical to whoever you would like to compare us with. We are on MLS®, all the top internet real estates sites, we place a sign on your property ( if it's allowed ), we show the property, hold open houses, advertise it, handle all the negotiations, plus the conveyancing. There is nothing that you are not getting, except for a high commission!

Q
What do you charge?

We charge a total of $7,950 for residential properties under $400,000. For residential properties $400,000-$900,000 we charge $9,950. For residential properties over $900,000 we charge 1% of the sale price plus $950. Plus Applicable taxes, of course. We also offer the flexibility to offer more commission to the buyer's agent, if you want to. It is as simple as that! For commercial properties, farms, or development properties please contact a One Percent agent directly or fill out the market evaluation form on the bottom right of our website pages and a One Percent agent will get back to you to discuss the particulars.

Q
Are your listings on MLS® and realtor.ca?

Yes, and yes.


Learn more about the One Percent Realty Deal