309 3 Street W, Standard

2026-03-27
 

Quick Summary

Location
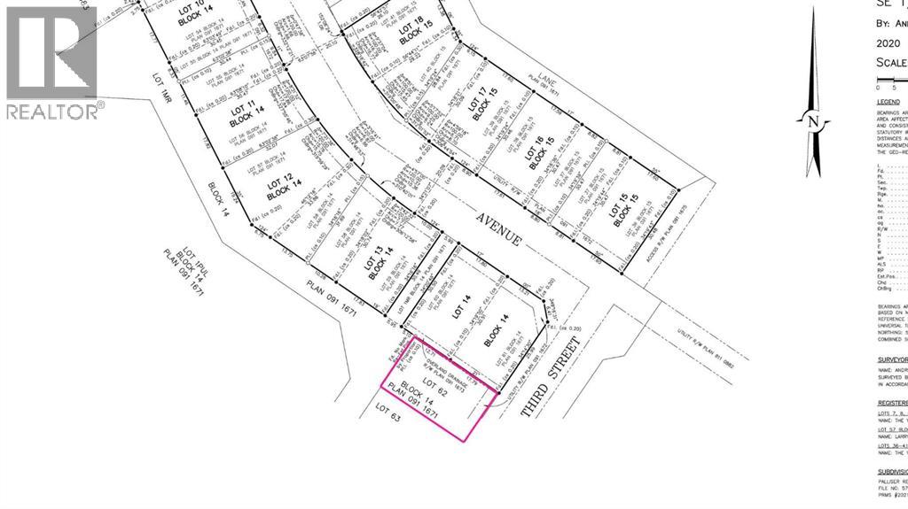
309 3 Street W, Standard, Alberta T0J3G0
Price
$30,000 CAD
Status:
For Sale
Property Type:
Vacant Land

MLS®#A2296812

Property Description

Step out of the noise and into something better.This is small-town living the way people wish it still was. Neighbours know your name. And life finally slows down just enough to enjoy it.Set in a fully serviced subdivision, this is a rare opportunity to build in a community that still feels connected. Where kids can play hockey at the local arena, and dad can hit beer league with his buddies after work. It is simple. It is real. It is home.All utilities are already to the lot, including sewer, water, gas, and electricity. Paved sidewalks and street lighting are in place, making this development truly ready to go.Located just minutes from a K-12 school and local amenities, and only a 25-minute drive to Strathmore for everything else you need.Building Guidelines:Construction must commence within 1 year of purchase, reach lock-up stage within the following year, and be fully completed within 3 years. Extensions are on a as per basis.Whether you are building your dream home or looking for your next smart investment, this is your chance to secure serviced land in a quiet, established Alberta community. (id:32467)

Property Features

Ammenities Near By

  • Ammenities Near By: Playground, Shopping

Building

  • Fireplace: No

Land

  • Land Size: 558.9 m2|4,051 - 7,250 sqft

Ownership

  • Type: Freehold

Zoning

  • Description: R-1

Information entered by RE/MAX Key
Listing information last updated on: 2026-04-06 06:01:16


Book your free home evaluation with a 1% REALTOR® now!


How much could you save in commission selling with One Percent Realty?

Slide to select your home's price:

$500,000

Your One Percent Realty Commission savings

$500,000

Savings calculated using One Percent Realty's posted commission rates compared to another agent charging 7% on the first 100k & 3% on the balance + GST. Not all agents charge the same.

One Percent Realty's top FAQs

Q
What is the deal exactly, with One Percent Realty?

We are a fully licensed real estate company that offers full service but at a discount commission. In terms of services and exposure, we are identical to whoever you would like to compare us with. We are on MLS®, all the top internet real estates sites, we place a sign on your property ( if it's allowed ), we show the property, hold open houses, advertise it, handle all the negotiations, plus the conveyancing. There is nothing that you are not getting, except for a high commission!

Q
What do you charge?

We charge a total of $7,950 for residential properties under $400,000. For residential properties $400,000-$900,000 we charge $9,950. For residential properties over $900,000 we charge 1% of the sale price plus $950. Plus Applicable taxes, of course. We also offer the flexibility to offer more commission to the buyer's agent, if you want to. It is as simple as that! For commercial properties, farms, or development properties please contact a One Percent agent directly or fill out the market evaluation form on the bottom right of our website pages and a One Percent agent will get back to you to discuss the particulars.

Q
Are your listings on MLS® and realtor.ca?

Yes, and yes.


Learn more about the One Percent Realty Deal