1900 9 Avenue SE, High River

2025-11-28
 

Quick Summary

Location
1900 9 Avenue SE, High River, Alberta T1V2A6
Price
$775,000 CAD
Status:
For Sale
Property Type:
Vacant Land

MLS®#A2259729

Property Description

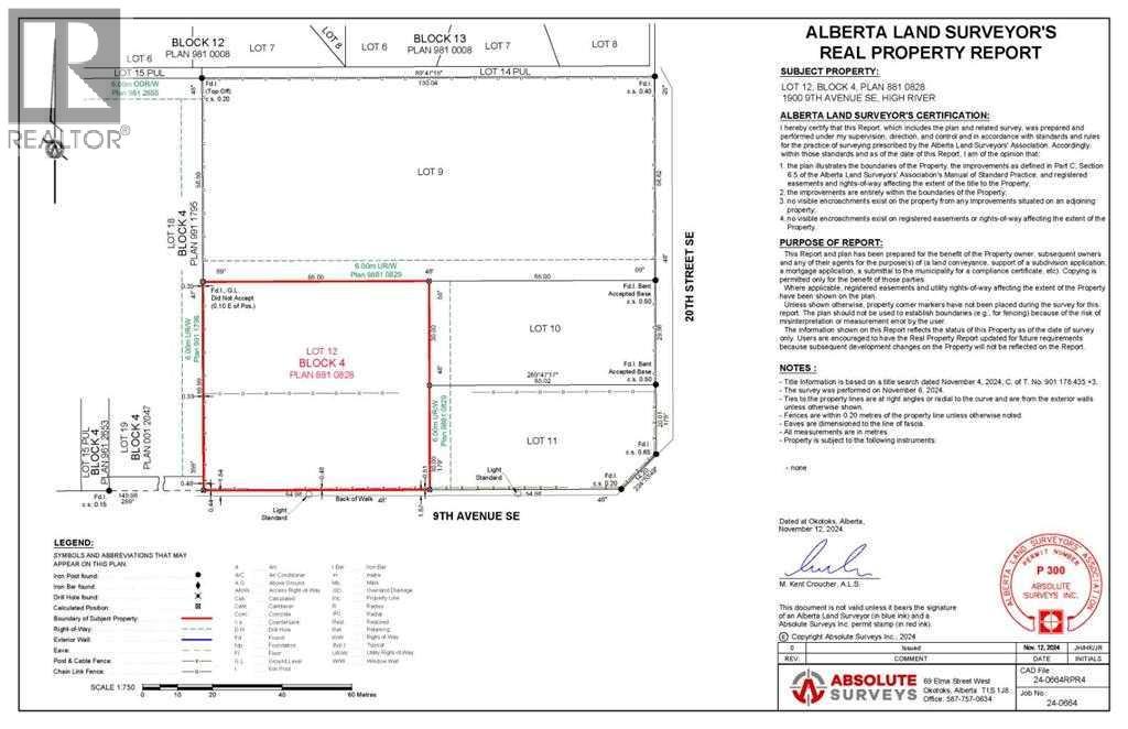
3.79 acres of light industrial land in a convenient location close only ½ mile from Highway 2 in High River. This corner site has nearly 800’ of frontage and is on four separate titles. The titles are 1.88 acres; .48 acres; .47 acres and .96 acres. All sites have street frontage. Services are available from the street. The property is zoned SED (Service Employment District). It is suitable for office space, large retail and light industrial. (id:32467)

Property Features

Building

  • Fireplace: No
  • Utility Water: Municipal water

Land

  • Land Size: 3.79 ac|2 - 4.99 acres
  • Sewer: Municipal sewage system

Ownership

  • Type: Freehold

Zoning

  • Description: SED

Information entered by RE/MAX Southern Realty
Listing information last updated on: 2025-12-10 19:31:20


Book your free home evaluation with a 1% REALTOR® now!


How much could you save in commission selling with One Percent Realty?

Slide to select your home's price:

$500,000

Your One Percent Realty Commission savings

$500,000

Savings calculated using One Percent Realty's posted commission rates compared to another agent charging 7% on the first 100k & 3% on the balance + GST. Not all agents charge the same.

Send a Message


One Percent Realty's top FAQs

Q
What is the deal exactly, with One Percent Realty?

We are a fully licensed real estate company that offers full service but at a discount commission. In terms of services and exposure, we are identical to whoever you would like to compare us with. We are on MLS®, all the top internet real estates sites, we place a sign on your property ( if it's allowed ), we show the property, hold open houses, advertise it, handle all the negotiations, plus the conveyancing. There is nothing that you are not getting, except for a high commission!

Q
What do you charge?

We charge a total of $7,950 for residential properties under $400,000. For residential properties $400,000-$900,000 we charge $9,950. For residential properties over $900,000 we charge 1% of the sale price plus $950. Plus Applicable taxes, of course. We also offer the flexibility to offer more commission to the buyer's agent, if you want to. It is as simple as that! For commercial properties, farms, or development properties please contact a One Percent agent directly or fill out the market evaluation form on the bottom right of our website pages and a One Percent agent will get back to you to discuss the particulars.

Q
Are your listings on MLS® and realtor.ca?

Yes, and yes.


Learn more about the One Percent Realty Deal

 

Anna Madden Associate

Phone:
587-830-2405
Email:
anna.madden05@gmail.com
Support Area:
Calgary, Airdrie, Cochrane, chestermere, Langdon, Okotoks, High river, Olds, Rocky View, Foothills

Experienced Residential Realtor serving Calgary and surrounding communities. I have knowledge in buy ...

Full Profile