0 Broadway Avenue, Blackfalds

2025-11-12
 

Quick Summary

Location
0 Broadway Avenue, Blackfalds, Alberta T0M0J2
Price
$2,600,000 CAD
Status:
For Sale
Property Type:
Vacant Land
Video Link:

MLS®#A2270186

Property Description

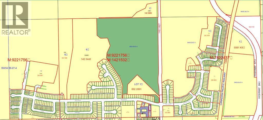
New Developments and Improvements on this project are underway! Aurora Heights SE-34 consists of 53.75 +/- acres of residential development lands sitting on the west side of Broadway Avenue (Range Road 272). The lands are located between Highway 2 and Highway 2A, the access to the highways and the town makes these lands perfectly situated for ease of access to all amenities. This quarter improvements include the initial approvals, some minor rough grading, some construction of the storm water facility plus approval of the storm water facility including paying all fees for removing wetlands to Alberta Environment. Please consider adding this to your building plan. (id:32467)

Property Features

Building

  • Fireplace: No

Land

  • Land Size: 53.75 ac|50 - 79 acres

Ownership

  • Type: Freehold

Zoning

  • Description: R-1L

Information entered by Century 21 Foothills Real Estate
Listing information last updated on: 2026-02-25 18:28:58


Book your free home evaluation with a 1% REALTOR® now!


How much could you save in commission selling with One Percent Realty?

Slide to select your home's price:

$500,000

Your One Percent Realty Commission savings

$500,000

Savings calculated using One Percent Realty's posted commission rates compared to another agent charging 7% on the first 100k & 3% on the balance + GST. Not all agents charge the same.

One Percent Realty's top FAQs

Q
What is the deal exactly, with One Percent Realty?

We are a fully licensed real estate company that offers full service but at a discount commission. In terms of services and exposure, we are identical to whoever you would like to compare us with. We are on MLS®, all the top internet real estates sites, we place a sign on your property ( if it's allowed ), we show the property, hold open houses, advertise it, handle all the negotiations, plus the conveyancing. There is nothing that you are not getting, except for a high commission!

Q
What do you charge?

We charge a total of $7,950 for residential properties under $400,000. For residential properties $400,000-$900,000 we charge $9,950. For residential properties over $900,000 we charge 1% of the sale price plus $950. Plus Applicable taxes, of course. We also offer the flexibility to offer more commission to the buyer's agent, if you want to. It is as simple as that! For commercial properties, farms, or development properties please contact a One Percent agent directly or fill out the market evaluation form on the bottom right of our website pages and a One Percent agent will get back to you to discuss the particulars.

Q
Are your listings on MLS® and realtor.ca?

Yes, and yes.


Learn more about the One Percent Realty Deal