531063 Rge Rd 73, Rural Two Hills No. 21, County of

2025-10-23
 

Quick Summary

Location
531063 Rge Rd 73, Rural Two Hills No. 21, County of, Alberta T0B1A0
Price
$368,600 CAD
Status:
For Sale
Property Type:
Single Family
Area:
1536 sqft
Bedrooms:
4 bed +1
Bathrooms:
3
Garages:
100
Year of Construction:
1984

MLS®#A2266410

Property Description

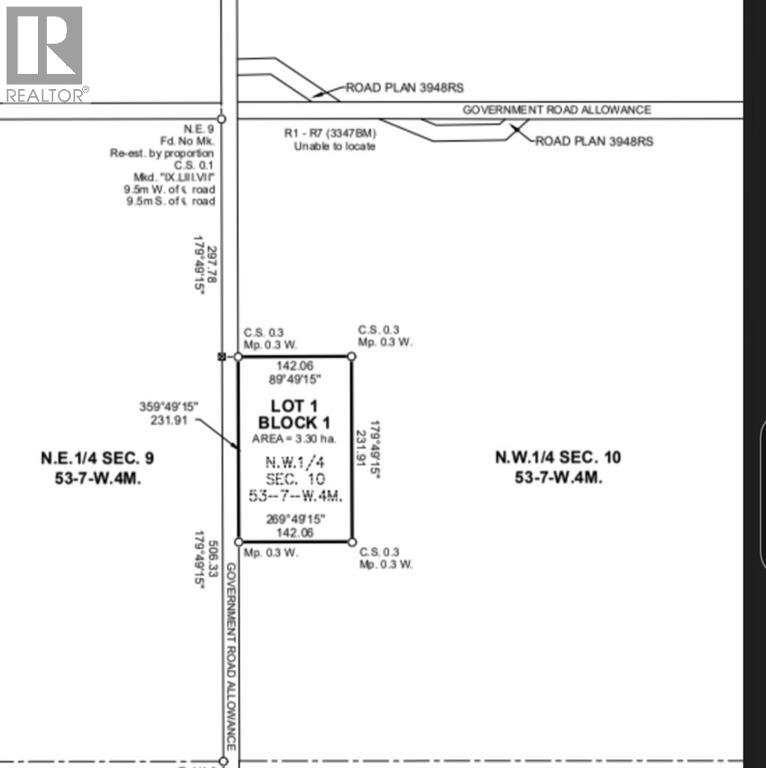
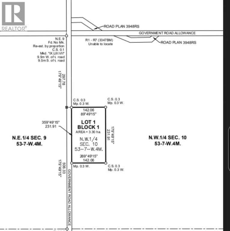
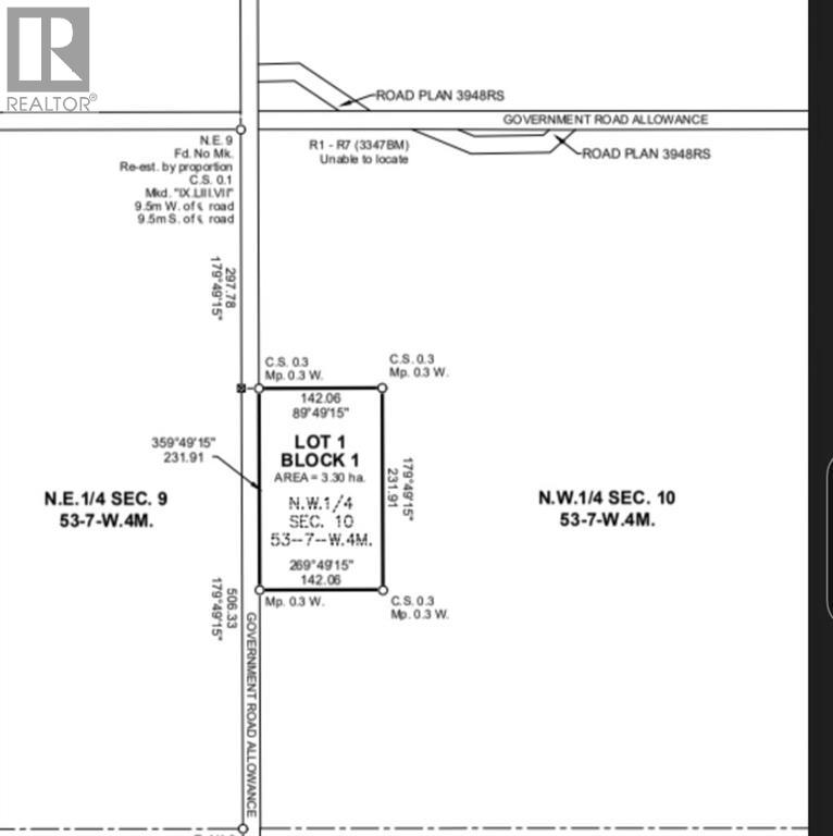
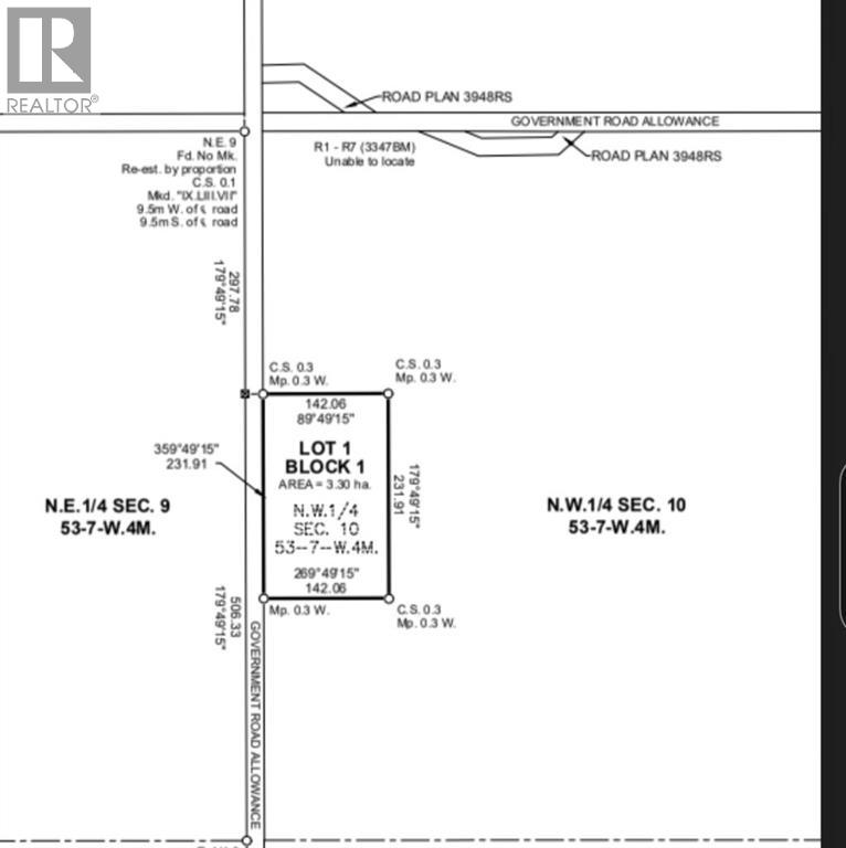
Experience the peace and space of rural Alberta living on this newly subdivided 8.15-acre acreage perfectly situated between Vermilion and Derwent on Range Road 73. Step inside the sprawling bungalow where comfort meets country charm. The main level offers three bedrooms, two bathrooms, and a functional main-floor laundry area—ideal for busy family life. The large living spaces provide plenty of room to gather, and the partially finished basement adds even more versatility, bringing the total to five bedrooms and three bathrooms. With central air conditioning, 2x6 construction, and newer shingles, this home was built for lasting comfort and efficiency. Outside, you’ll appreciate the thoughtfully updated infrastructure: a brand-new septic system, new drilled well, and existing power and natural gas services make life easy and reliable. The property also includes an oversized 24 x 30 detached double garage and a 30 x 40 quonset—perfect for vehicles, workshop use, or extra storage. Situated across the yard are several older outbuildings and sheds that offer endless potential for repurposing. There’s even a bored well and additional well near the old garden area, giving you flexibility for watering or hobby farming. The power pole base is prepped for a generator, providing peace of mind with optional backup power. Whether you’re dreaming of a small hobby farm, a private country retreat, or simply a place to raise a family with room to roam, this acreage combines modern upgrades with timeless prairie appeal. With its convenient location, solid systems, and open land, it’s an excellent opportunity to enjoy rural Alberta living at its finest. PT. NW-10-53-7-W4 (taxes TBD) (id:32467)

Property Features

Building

  • Appliances: None
  • Architectural Style: Bungalow
  • Basement Development: Partially finished
  • Basement Type: Full (Partially finished)
  • Construction Style: Detached
  • Cooling Type: Central air conditioning
  • Fireplace: Yes
  • Flooring Type: Laminate, Linoleum
  • Interior Size: 1536 sqft
  • Building Type: House
  • Stories: 1
  • Utility Water: Well

Features

  • Feature: Wet bar

Land

  • Land Size: 8.15 ac|5 - 9.99 acres
  • Sewer: Mound, Septic System

Ownership

  • Type: Freehold

Structure

  • Structure: Shed, See Remarks

Zoning

  • Description: CR

Information entered by RE/MAX PRAIRIE REALTY
Listing information last updated on: 2026-04-29 14:28:22


Book your free home evaluation with a 1% REALTOR® now!


How much could you save in commission selling with One Percent Realty?

Slide to select your home's price:

$500,000

Your One Percent Realty Commission savings

$500,000

Savings calculated using One Percent Realty's posted commission rates compared to another agent charging 7% on the first 100k & 3% on the balance + GST. Not all agents charge the same.

One Percent Realty's top FAQs

Q
What is the deal exactly, with One Percent Realty?

We are a fully licensed real estate company that offers full service but at a discount commission. In terms of services and exposure, we are identical to whoever you would like to compare us with. We are on MLS®, all the top internet real estates sites, we place a sign on your property ( if it's allowed ), we show the property, hold open houses, advertise it, handle all the negotiations, plus the conveyancing. There is nothing that you are not getting, except for a high commission!

Q
What do you charge?

We charge a total of $7,950 for residential properties under $400,000. For residential properties $400,000-$900,000 we charge $9,950. For residential properties over $900,000 we charge 1% of the sale price plus $950. Plus Applicable taxes, of course. We also offer the flexibility to offer more commission to the buyer's agent, if you want to. It is as simple as that! For commercial properties, farms, or development properties please contact a One Percent agent directly or fill out the market evaluation form on the bottom right of our website pages and a One Percent agent will get back to you to discuss the particulars.

Q
Are your listings on MLS® and realtor.ca?

Yes, and yes.


Learn more about the One Percent Realty Deal