11126 Hoppe Avenue, Grande Cache

2025-10-02
 

Quick Summary

Location
11126 Hoppe Avenue, Grande Cache, Alberta T0E0Y0
Price
$250,000 CAD
Status:
For Sale
Property Type:
Vacant Land

MLS®#A2261618

Property Description

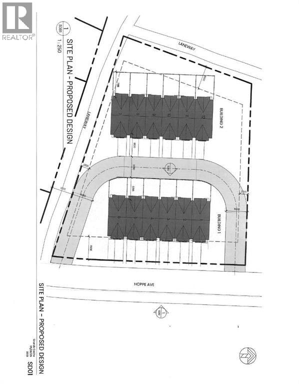
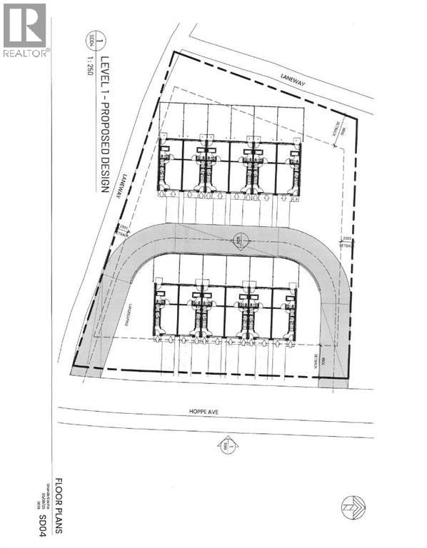
Looking to build multifamily Units? look no further! Serviced multifamily Lot for sale in the picturesque Town of Grande Cache with a potential to put up to 34 rental units. Lot is a walking distance from schools and Town Center, Grande Cache has a growing population therefore a growing need for accommodation. Drive by and check this land out. There is a short video of A potential building design that can be built on the land. (id:32467)

Property Features

Building

  • Fireplace: No

Land

  • Land Size: 29621 sqft|21,780 - 32,669 sqft (1/2 - 3/4 ac)

Ownership

  • Type: Freehold

Zoning

  • Description: R4

Information entered by Grassroots Realty Group Ltd.
Listing information last updated on: 2025-10-02 16:56:06


Book your free home evaluation with a 1% REALTOR® now!


How much could you save in commission selling with One Percent Realty?

Slide to select your home's price:

$500,000

Your One Percent Realty Commission savings

$500,000

Savings calculated using One Percent Realty's posted commission rates compared to another agent charging 7% on the first 100k & 3% on the balance + GST. Not all agents charge the same.

One Percent Realty's top FAQs

Q
What is the deal exactly, with One Percent Realty?

We are a fully licensed real estate company that offers full service but at a discount commission. In terms of services and exposure, we are identical to whoever you would like to compare us with. We are on MLS®, all the top internet real estates sites, we place a sign on your property ( if it's allowed ), we show the property, hold open houses, advertise it, handle all the negotiations, plus the conveyancing. There is nothing that you are not getting, except for a high commission!

Q
What do you charge?

We charge a total of $7,950 for residential properties under $400,000. For residential properties $400,000-$900,000 we charge $9,950. For residential properties over $900,000 we charge 1% of the sale price plus $950. Plus Applicable taxes, of course. We also offer the flexibility to offer more commission to the buyer's agent, if you want to. It is as simple as that! For commercial properties, farms, or development properties please contact a One Percent agent directly or fill out the market evaluation form on the bottom right of our website pages and a One Percent agent will get back to you to discuss the particulars.

Q
Are your listings on MLS® and realtor.ca?

Yes, and yes.


Learn more about the One Percent Realty Deal