5642 46 Street, Olds

2025-09-22
 

Quick Summary

Location
5642 46 Street, Olds, Alberta T4H1B8
Price
$23 CAD
Status:
For lease
Property Type:
Business
Area:
8537 sqft
Year of Construction:
1972

MLS®#A2259023

Property Description

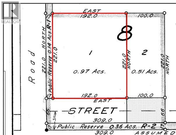
Located at the northeast corner of the intersection of 46 street (Hwy 27) and 57 Avenue. This is a high-profile 0.97-acre location along the main commercial node in the town of Olds with south exposure to a major traffic arterial route. This is a single tenant commercial building with a rentable area of 8537 sq ft zoned hwy commercial. The building is an open format design that is demised into 2 showroom areas. There is a storage area along the north side (rear) of the building as well as a small storage area on the southeast end. The building features three grade level loading doors on the west end of the building and one grade level loading door to the east end. Plenty of paved parking to the south and the west. Olds is a major Agri-business hub as well as a base for oilfield service and light industrial manufacturers located just off the Hwy 2 corridor between Red Deer and Calgary. (id:32467)

Property Features

Building

  • Exterior Finish: See Remarks
  • Fireplace: No
  • Interior Size: 8537 sqft

Land

  • Land Size: Unknown

Ownership

  • Type: Freehold

Zoning

  • Description: Hwy Commercial

Information entered by MaxWell Capital Realty
Listing information last updated on: 2025-10-14 19:12:51


Book your free home evaluation with a 1% REALTOR® now!


How much could you save in commission selling with One Percent Realty?

Slide to select your home's price:

$500,000

Your One Percent Realty Commission savings

$500,000

Savings calculated using One Percent Realty's posted commission rates compared to another agent charging 7% on the first 100k & 3% on the balance + GST. Not all agents charge the same.

Send a Message


One Percent Realty's top FAQs

Q
What is the deal exactly, with One Percent Realty?

We are a fully licensed real estate company that offers full service but at a discount commission. In terms of services and exposure, we are identical to whoever you would like to compare us with. We are on MLS®, all the top internet real estates sites, we place a sign on your property ( if it's allowed ), we show the property, hold open houses, advertise it, handle all the negotiations, plus the conveyancing. There is nothing that you are not getting, except for a high commission!

Q
What do you charge?

We charge a total of $7,950 for residential properties under $400,000. For residential properties $400,000-$900,000 we charge $9,950. For residential properties over $900,000 we charge 1% of the sale price plus $950. Plus Applicable taxes, of course. We also offer the flexibility to offer more commission to the buyer's agent, if you want to. It is as simple as that! For commercial properties, farms, or development properties please contact a One Percent agent directly or fill out the market evaluation form on the bottom right of our website pages and a One Percent agent will get back to you to discuss the particulars.

Q
Are your listings on MLS® and realtor.ca?

Yes, and yes.


Learn more about the One Percent Realty Deal

 

Anna Madden Associate

Phone:
587-830-2405
Email:
anna.madden05@gmail.com
Support Area:
Calgary, Airdrie, Cochrane, chestermere, Langdon, Okotoks, High river, Olds, Rocky View, Foothills

Experienced Residential Realtor serving Calgary and surrounding communities. I have knowledge in buy ...

Full Profile

 

Dabs Fashola Associate

Phone:
403-619-0621
Email:
homesbydabs@gmail.com
Support Area:
Calgary Southwest, Calgary Southeast, Calgary Northwest, Calgary Northeast, Okotoks, Chestermere:, Airdrie, Olds

Turning Real Estate Dreams into Reality | Your Trusted RealtorEvery real estate journey is ...

Full Profile