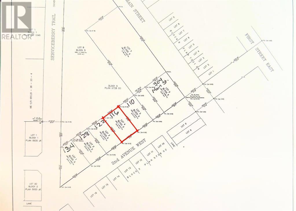
116 2 Avenue W, Rockyford

2025-07-18
 

Quick Summary

Location
116 2 Avenue W, Rockyford, Alberta T0J2R0
Price
$45,000 CAD
Status:
For Sale
Property Type:
Vacant Land
Video Link:

MLS®#A2240285

Property Description

Only 3 lots left. And at just $45,000, they may not stay that way for long.These fully serviced lots in Rockyford offer something buyers are struggling to find right now — affordability, community, and the chance to actually build the lifestyle they want.Rockyford is one of those small Alberta towns people fall in love with the second they drive into it. The kind of place where neighbours know each other, kids still ride bikes to the rink, and summer weekends revolve around rodeos, local markets, and backyard BBQs.Located just 45 minutes from Calgary and 20 minutes to Strathmore, you get the quiet of country living without feeling completely disconnected from the city.And the location keeps getting better.A brand-new green space is being developed directly behind these lots, complete with walking paths, picnic areas, and open space designed for families, pets, and everyday life outdoors.These lots are fully serviced with municipal water, sewer, gas, and power already at the lot line, making the building process far more straightforward. There is even a property tax incentive program available to help make building more affordable.Whether you are ready to stop renting, looking for an affordable place to build, or searching for a slower pace with a stronger sense of community, this is an opportunity worth looking at.Small town living. Big opportunity. Only 3 lots remaining. (id:32467)

Property Features

Ammenities Near By

  • Ammenities Near By: Park, Playground, Schools

Building

  • Fireplace: No

Land

  • Land Size: 0.18 ac|7,251 - 10,889 sqft

Ownership

  • Type: Freehold

Zoning

  • Description: R-1

Information entered by RE/MAX Key
Listing information last updated on: 2026-05-11 21:00:02


Book your free home evaluation with a 1% REALTOR® now!


How much could you save in commission selling with One Percent Realty?

Slide to select your home's price:

$500,000

Your One Percent Realty Commission savings

$500,000

Savings calculated using One Percent Realty's posted commission rates compared to another agent charging 7% on the first 100k & 3% on the balance + GST. Not all agents charge the same.

One Percent Realty's top FAQs

Q
What is the deal exactly, with One Percent Realty?

We are a fully licensed real estate company that offers full service but at a discount commission. In terms of services and exposure, we are identical to whoever you would like to compare us with. We are on MLS®, all the top internet real estates sites, we place a sign on your property ( if it's allowed ), we show the property, hold open houses, advertise it, handle all the negotiations, plus the conveyancing. There is nothing that you are not getting, except for a high commission!

Q
What do you charge?

We charge a total of $7,950 for residential properties under $400,000. For residential properties $400,000-$900,000 we charge $9,950. For residential properties over $900,000 we charge 1% of the sale price plus $950. Plus Applicable taxes, of course. We also offer the flexibility to offer more commission to the buyer's agent, if you want to. It is as simple as that! For commercial properties, farms, or development properties please contact a One Percent agent directly or fill out the market evaluation form on the bottom right of our website pages and a One Percent agent will get back to you to discuss the particulars.

Q
Are your listings on MLS® and realtor.ca?

Yes, and yes.


Learn more about the One Percent Realty Deal