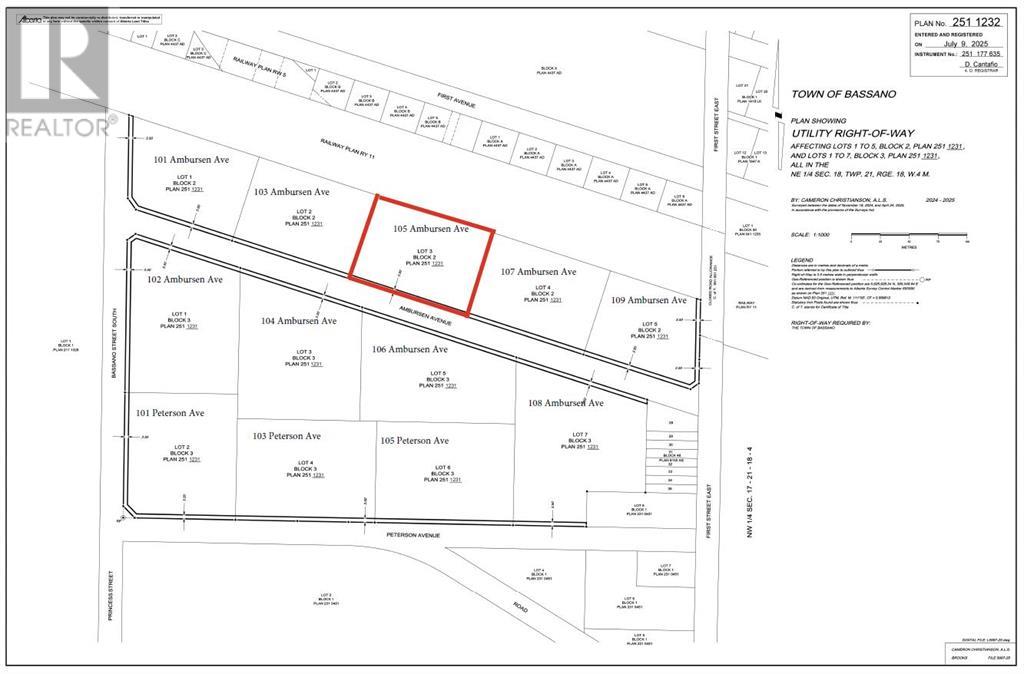
105 Ambursen Avenue, Bassano

2025-07-18
 

Quick Summary

Location
105 Ambursen Avenue, Bassano, Alberta T0J0B0
Price
$120,000 CAD
Status:
For Sale
Property Type:
Vacant Land

MLS®#A2241170

Property Description

Welcome to the Bassano Large Lot Subdivision, where the beauty of nature meets the freedom to build your dream home and business. Bassano is a hidden gem, offering scenic nature, abundant outdoor activities, and the charm of a community that’s growing while preserving its rich character. Spend your days by the dam, explore the nearby Crawling Valley Reservoir and campground, or paddle along endless canals. Enjoy the town's outdoor pool, a local arena, and a downtown that's being revitalized to blend modern convenience with timeless appeal. This development features a total of 12 lots for sale, ranging from 1.7 acres to 3.22 acres, with water, gas, and power run to the lot line—making these lots ready to go for your dream build. Priced at just $60,000 per acre, this is an unbeatable value for such spacious and well-equipped property. As an added incentive, enjoy a 3-year tax rebate to make your investment even more rewarding! Perfect for business owners, this subdivision offers the flexibility to operate home-based businesses. Whether you’re running small shops, trucking and servicing businesses, or supporting local industries, this is the ideal location for your venture. With secondary and backyard suites permitted, this development also addresses Bassano’s growing demand for housing. Families will love the convenience of a K-12 school right in town, making it easy to settle in and enjoy all that Bassano has to offer. Own an acreage in town and take advantage of this rare opportunity to live, work, and thrive in a vibrant, expanding community! (id:32467)

Property Features

Building

  • Fireplace: No

Land

  • Land Size: 2 ac|2 - 4.99 acres

Ownership

  • Type: Freehold

Zoning

  • Description: R3

Information entered by Real Estate Professionals Inc.
Listing information last updated on: 2025-07-28 15:12:22


Book your free home evaluation with a 1% REALTOR® now!


How much could you save in commission selling with One Percent Realty?

Slide to select your home's price:

$500,000

Your One Percent Realty Commission savings

$500,000

Savings calculated using One Percent Realty's posted commission rates compared to another agent charging 7% on the first 100k & 3% on the balance + GST. Not all agents charge the same.

One Percent Realty's top FAQs

Q
What is the deal exactly, with One Percent Realty?

We are a fully licensed real estate company that offers full service but at a discount commission. In terms of services and exposure, we are identical to whoever you would like to compare us with. We are on MLS®, all the top internet real estates sites, we place a sign on your property ( if it's allowed ), we show the property, hold open houses, advertise it, handle all the negotiations, plus the conveyancing. There is nothing that you are not getting, except for a high commission!

Q
What do you charge?

We charge a total of $7,950 for residential properties under $400,000. For residential properties $400,000-$900,000 we charge $9,950. For residential properties over $900,000 we charge 1% of the sale price plus $950. Plus Applicable taxes, of course. We also offer the flexibility to offer more commission to the buyer's agent, if you want to. It is as simple as that! For commercial properties, farms, or development properties please contact a One Percent agent directly or fill out the market evaluation form on the bottom right of our website pages and a One Percent agent will get back to you to discuss the particulars.

Q
Are your listings on MLS® and realtor.ca?

Yes, and yes.


Learn more about the One Percent Realty Deal