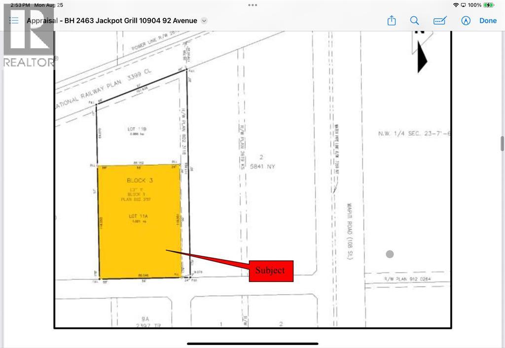
10904 92 Avenue, Grande Prairie

2025-07-11
 

Quick Summary

Location
10904 92 Avenue, Grande Prairie, Alberta T8V6B5
Price
$3,500,000 CAD
Status:
For Sale
Property Type:
Business
Area:
25355 sqft
Year of Construction:
1980

MLS®#A2234839

Property Description

Iconic Business & Building Opportunity / Jackpot Grill & Events Centre | Grande Prairie, ABHere’s your chance to own a Grande Prairie landmark. The Jackpot Grill & Events Centre is a well-established hospitality and entertainment hub with decades of history, local loyalty, and brand recognition. This listing includes both the thriving business and the 25,000+ square foot commercial building it occupies, situated on a high-exposure 2.5-acre lot along one of the city’s busiest roads.The building is divided into two distinct sections, offering multiple revenue streams under one roof. On the west side, you’ll find a fully operational, turn-key restaurant and lounge complete with an efficiently planned Kitchen, comfortable dining space, and an area perfect for buffets, casual meals, or group gatherings. It also includes a VLT area, pool tables, and an adaptable floorplan suited for a variety of concepts. The atmosphere is warm and inviting, with existing branding and a loyal customer base already in place.The east side of the building is designed for large-scale events and nightlife. This spacious event centre has successfully hosted concerts, fundraisers, weddings, corporate functions, and nightclub events. It features a stage and lighting setup, open floor layout, separate service areas and entrances, and dedicated washrooms, making it ideal for event operators or groups looking to expand into the entertainment industry.The upper level includes multiple office rooms and ample storage, offering flexibility for administration or future development. The exterior of the property features 2.5 acres of land with plenty of paved parking and incredible exposure to high-volume traffic. The size and layout also allow potential for outdoor patio spaces or seasonal event use.The Jackpot Grill is more than just a business, it’s a piece of Grande Prairie’s identity. With a strong customer base, experienced staff, and operational systems already in place, this is an excepti onal turn-key opportunity for an owner-operator or hospitality group looking to expand their portfolio.This is a rare opportunity to own a large-scale property, fully equipped business, and a legacy brand all in one. Contact us today to request a detailed information package or to schedule a private tour of the property. (id:32467)

Property Features

Building

  • Fireplace: No
  • Interior Size: 25355 sqft

Land

  • Land Size: Unknown

Zoning

  • Description: IG

Information entered by RE/MAX Grande Prairie
Listing information last updated on: 2026-01-13 19:32:48


Book your free home evaluation with a 1% REALTOR® now!


How much could you save in commission selling with One Percent Realty?

Slide to select your home's price:

$500,000

Your One Percent Realty Commission savings

$500,000

Savings calculated using One Percent Realty's posted commission rates compared to another agent charging 7% on the first 100k & 3% on the balance + GST. Not all agents charge the same.

One Percent Realty's top FAQs

Q
What is the deal exactly, with One Percent Realty?

We are a fully licensed real estate company that offers full service but at a discount commission. In terms of services and exposure, we are identical to whoever you would like to compare us with. We are on MLS®, all the top internet real estates sites, we place a sign on your property ( if it's allowed ), we show the property, hold open houses, advertise it, handle all the negotiations, plus the conveyancing. There is nothing that you are not getting, except for a high commission!

Q
What do you charge?

We charge a total of $7,950 for residential properties under $400,000. For residential properties $400,000-$900,000 we charge $9,950. For residential properties over $900,000 we charge 1% of the sale price plus $950. Plus Applicable taxes, of course. We also offer the flexibility to offer more commission to the buyer's agent, if you want to. It is as simple as that! For commercial properties, farms, or development properties please contact a One Percent agent directly or fill out the market evaluation form on the bottom right of our website pages and a One Percent agent will get back to you to discuss the particulars.

Q
Are your listings on MLS® and realtor.ca?

Yes, and yes.


Learn more about the One Percent Realty Deal