10209 92 Avenue, Lac La Biche

2025-03-16
 

Quick Summary

Location
10209 92 Avenue, Lac La Biche, Alberta T0A2C0
Price
$850,000 CAD
Status:
For Sale
Property Type:
Other

MLS®#A2202829

Property Description

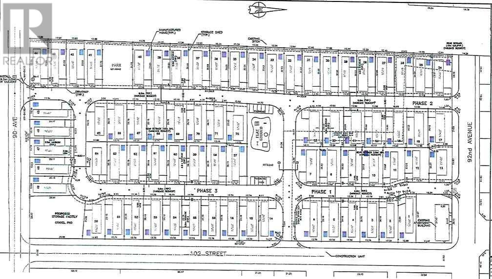
New Home Subdivision For Sale in Lac La Biche. 7 acres total in this parcel which makes the phase 2, phase 3 of "the Meadows" new home subdivision. 56 non-registered serviced lots. "The Meadows". is made up of a total 73, 35 ft. wide lots. centrally located in Lac La Biche County. with 75% of phase one SOLD. 7 of the homes are 20 wide manufactured homes with the rest of phase 1 zoned for narrow lot homes. This is the perfect affordable new home subdivision is close to schools and hospital and amenities. A brand new playground was installed, roads are paved with street lights and gutters. Bare land condominium with by-laws in place to help keep those values up and remain a desirable place to live. This almost turn key subdivision is ready for a new developer to build affordable housing with attractive single family dwellings. The price point of these homes competes with no other subdivisions in the Lac La Biche County. (id:32467)

Property Features

Building

  • Fireplace: No
  • Building Type: Commercial Mix

Land

  • Land Size: Unknown

Zoning

  • Description: medium density

Information entered by COLDWELL BANKER UNITED
Listing information last updated on: 2025-03-21 19:14:08


Book your free home evaluation with a 1% REALTOR® now!


How much could you save in commission selling with One Percent Realty?

Slide to select your home's price:

$500,000

Your One Percent Realty Commission savings

$500,000

Savings calculated using One Percent Realty's posted commission rates compared to another agent charging 7% on the first 100k & 3% on the balance + GST. Not all agents charge the same.

One Percent Realty's top FAQs

Q
What is the deal exactly, with One Percent Realty?

We are a fully licensed real estate company that offers full service but at a discount commission. In terms of services and exposure, we are identical to whoever you would like to compare us with. We are on MLS®, all the top internet real estates sites, we place a sign on your property ( if it's allowed ), we show the property, hold open houses, advertise it, handle all the negotiations, plus the conveyancing. There is nothing that you are not getting, except for a high commission!

Q
What do you charge?

We charge a total of $7,950 for residential properties under $400,000. For residential properties $400,000-$900,000 we charge $9,950. For residential properties over $900,000 we charge 1% of the sale price plus $950. Plus Applicable taxes, of course. We also offer the flexibility to offer more commission to the buyer's agent, if you want to. It is as simple as that! For commercial properties, farms, or development properties please contact a One Percent agent directly or fill out the market evaluation form on the bottom right of our website pages and a One Percent agent will get back to you to discuss the particulars.

Q
Are your listings on MLS® and realtor.ca?

Yes, and yes.


Learn more about the One Percent Realty Deal