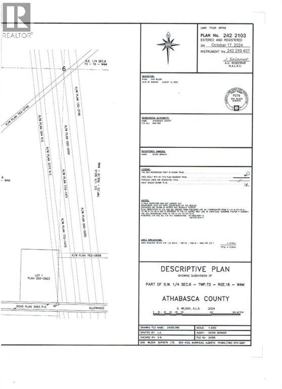
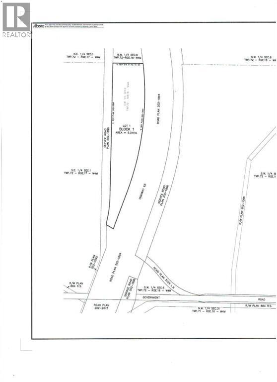
0 2422103 Block 1 Lot 1, Wandering River

2024-11-12
 

Quick Summary

Location
0 2422103 Block 1 Lot 1, Wandering River, Alberta T0A3M0
Price
$119,900 CAD
Status:
For Sale
Property Type:
Vacant Land

MLS®#A2178568

Property Description

You have to check out this 12.45 acre piece of property!! Just minutes from Wandering River, AB, this property has treed areas for privacy, wildlife, ATV'ing and walking trails, and also has approx 1.5 acres of cleared space that could be used as a potential yard/building site, camping etc. Power and gas are available at the property line. Property is close enough to Hwy 63 that there is minimal gravel road, but far enough that the highway noise is not a bother. 3 kms away from a beautiful 18 hole golf course, close to crown land with quadding trails and ample wildlife watching opportunities. A fresh produce market is minutes away, with all the homegrown produce you can imagine. The hamlet of Wandering River is a couple minutes away, bosting several amenities, including, but not limited to: gas stations, food store, liquor store, A&W, Burger King, Senior's Center, Youth Center, School, Playground, trailer dumping station, water station, Fire & Rescue Services, ball diamonds, curling rink, and a community library. Come and visit this property to see how it could be an ideal recreational piece of land (on your own or to share with others), or as a possible location to set up a beautiful country home!! (id:32467)

Property Features

Building

  • Construction Style: Detached
  • Fireplace: No
  • Building Type: Recreational

Features

  • Feature: Recreational

Land

  • Land Size: 12.45 ac|10 - 49 acres

Ownership

  • Type: Freehold

Zoning

  • Description: AG

Information entered by People 1st Realty
Listing information last updated on: 2025-05-20 15:54:59


Book your free home evaluation with a 1% REALTOR® now!


How much could you save in commission selling with One Percent Realty?

Slide to select your home's price:

$500,000

Your One Percent Realty Commission savings

$500,000

Savings calculated using One Percent Realty's posted commission rates compared to another agent charging 7% on the first 100k & 3% on the balance + GST. Not all agents charge the same.

One Percent Realty's top FAQs

Q
What is the deal exactly, with One Percent Realty?

We are a fully licensed real estate company that offers full service but at a discount commission. In terms of services and exposure, we are identical to whoever you would like to compare us with. We are on MLS®, all the top internet real estates sites, we place a sign on your property ( if it's allowed ), we show the property, hold open houses, advertise it, handle all the negotiations, plus the conveyancing. There is nothing that you are not getting, except for a high commission!

Q
What do you charge?

We charge a total of $7,950 for residential properties under $400,000. For residential properties $400,000-$900,000 we charge $9,950. For residential properties over $900,000 we charge 1% of the sale price plus $950. Plus Applicable taxes, of course. We also offer the flexibility to offer more commission to the buyer's agent, if you want to. It is as simple as that! For commercial properties, farms, or development properties please contact a One Percent agent directly or fill out the market evaluation form on the bottom right of our website pages and a One Percent agent will get back to you to discuss the particulars.

Q
Are your listings on MLS® and realtor.ca?

Yes, and yes.


Learn more about the One Percent Realty Deal