16715 71 Street, Edmonton

2025-12-22
 

Quick Summary

Location
16715 71 Street, Edmonton, Alberta T5Z1Z8
Status:
For sale or rent
Property Type:
Retail
Area:
15156 sqft
Year of Construction:
2025
Brochure Link:

MLS®#43690731

Property Description

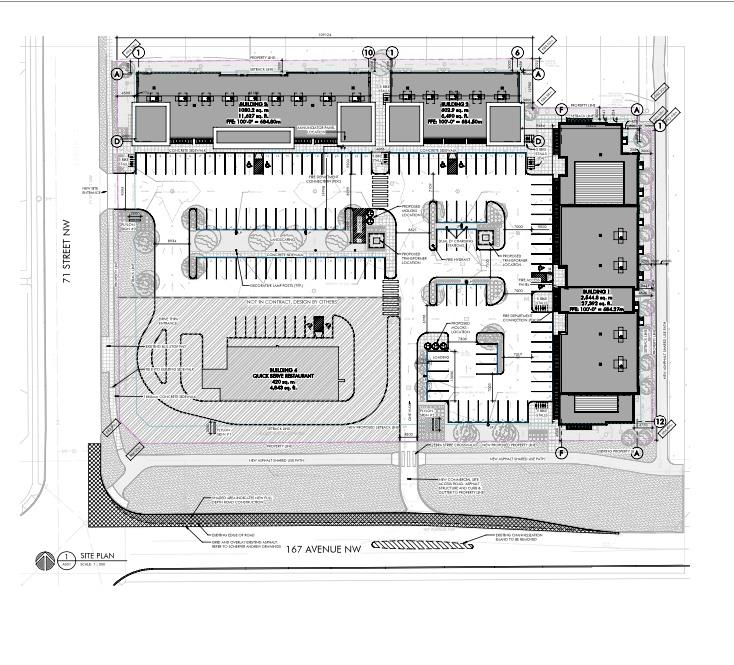
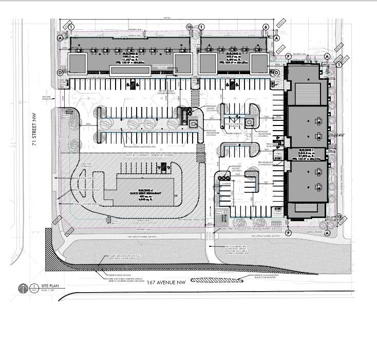
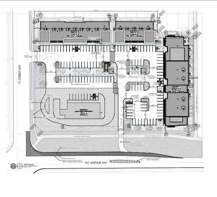
Positioned in one of the city's most rapidly growing neighborhoods, Schonsee Landing offers a unique opportunity for forward-thinking businesses to establish themselves in a high-visibility, high-traffic location. Strategically located near major thoroughfares including 167 Avenue and 71 Street, this development ensures exceptional accessibility for both local residents and commuters. Schonsee Landing is designed to support a dynamic mix of commercial tenants, with ideal spaces for: • Restaurants & Cafés • Health & Wellness Services • Boutique & Specialty Retail • Professional Offices etc.Other Property Types: Office,RetailSubject Space Width: 25Ownership Interest: Rental LeaseSeller Rights: NoAppointment Name: Gurmeet SandhuAppointment Phone: 780-991-6663Lease Operating Costs Included: Management, Parking lot, Landscaping, Insurance, Property taxesParagon Listing ID: E4455784 (id:32467)

Property Features

Building

  • Fireplace: No
  • Interior Size: 15156 sqft

Land

  • Land Size: 0|Unknown

Information entered by RE/MAX Real Estate
Listing information last updated on: 2025-12-22 16:44:34


Book your free home evaluation with a 1% REALTOR® now!


How much could you save in commission selling with One Percent Realty?

Slide to select your home's price:

$500,000

Your One Percent Realty Commission savings

$500,000

Savings calculated using One Percent Realty's posted commission rates compared to another agent charging 7% on the first 100k & 3% on the balance + GST. Not all agents charge the same.

Send a Message


One Percent Realty's top FAQs

Q
What is the deal exactly, with One Percent Realty?

We are a fully licensed real estate company that offers full service but at a discount commission. In terms of services and exposure, we are identical to whoever you would like to compare us with. We are on MLS®, all the top internet real estates sites, we place a sign on your property ( if it's allowed ), we show the property, hold open houses, advertise it, handle all the negotiations, plus the conveyancing. There is nothing that you are not getting, except for a high commission!

Q
What do you charge?

We charge a total of $7,950 for residential properties under $400,000. For residential properties $400,000-$900,000 we charge $9,950. For residential properties over $900,000 we charge 1% of the sale price plus $950. Plus Applicable taxes, of course. We also offer the flexibility to offer more commission to the buyer's agent, if you want to. It is as simple as that! For commercial properties, farms, or development properties please contact a One Percent agent directly or fill out the market evaluation form on the bottom right of our website pages and a One Percent agent will get back to you to discuss the particulars.

Q
Are your listings on MLS® and realtor.ca?

Yes, and yes.


Learn more about the One Percent Realty Deal

 

Christine Tetreault Broker / Owner / Real Estate Consultant

Phone:
(780) 268-4888
Email:
christine.onepercent@gmail.com
Support Area:
Windermere, Glenora, Belgravia, Griesbach, Bonnie Doon, Strathcona, Westmount, Summerside, Crestwood, Laurier Heights, Parkview, Magrath Heights, Highlands, Terwillegar Towne, Sherwood Park, West Edmonton, Spruce Grove, St. Albert, Jasper Place, Balwin, Stony Plain, Edmonton

REAL ESTATE NEGOTIATION EXPERT (RENE) SENIORS REAL ESTATE SPECIALIST (SRES) CERTIFIED REAL ESTATE ...

Full Profile

 

Bhavya Soni Associate

Phone:
7807070479
Email:
Opendreamdoorswithbhavya@gmail.com
Support Area:
Edmonton, Beaumont, Fort Saskatchewan, Spruce Grove, Stony Plain, Sherwood Park, St Albert, Millet, Wetaskiwin, Calmar, Devon, Morinville, Westlock County, Red Deer, Rimbey, Athabasca, Leduc, Falun, Ponoka, Lacombe, Camrose, Thorby, Drayton Valley

Bhavya Soni is one of the top performing full-time agent of One Percent Realty. Her name has been pu ...

Full Profile

 

Monika Lukavicius Associate

Phone:
7808853882
Email:
monikalukavicius1percent@gmail.com
Support Area:
Edmonton, St. Albert, Morinville

Hi I'm Monika and truly believe in value that 1% has to offer. My background is in construction and ...

Full Profile